Stand Up Paddle News
Self inflating Stand Up Paddle board - the future of SUP?
Two years ago we went on record saying that stand up paddle boards were the future. Now, they're considered mainstream for recreational paddling, but there has always been one big problem.
SUP - Retail Assistant needed (WA)
Opportunity to work at Airborne Kitesurfing and Stand Up Paddle Sports in WA
Welcome on Board - F-One in Tahiti
After experiencing Tahiti in 1999, founder of F-One, Raphael Salles was anxious to get back and once again surf the incredible coasting that the island has to offer.
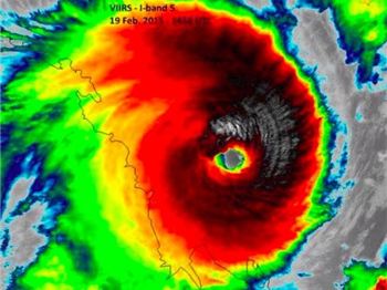
Cyclone Marcia claims a stand up paddle board
The footage just keeps rolling in from Cyclone Marcia's epic swell on the QLD coast in February, which not only provided the best surfing conditions of the summer, but claimed it's fair share of boards too.
Play your own SUP theme music - while surfing!
Call it background music, or an ode to what's likely going to happen, but this guy managed to play the classic song 'Wipeout' by the Surfaris in 1963. While surfing a wave on his stand up paddle board!
Paddlers still surfing though the USA's coldest winter ever.
You might have heard about America enduring their coldest winter ever recorded, which would automatically mean staying on dry land for most stand up paddlers. Especially the Queenslanders!
Twelve Towers Postponed - Paddlers score epic conditions!
While QLD cleans up after Cyclone Marcia, stand up paddlers are making the most of some epic downwind and surfing conditions on offer between the Gold and Sunshine Coasts.
Stand Up Paddle Party waves in Costa Rica
It seems that every year we get a story about a Tidal Bore delivered to our inbox. Those standing waves of murky brown water, slowly moving down a river and occasionally big enough to stand up paddle surf. But this ones a little different!
Tips for Safe Stand Up Paddling Animation.
An award winning animator, a representative of the American Canoe Association and a stand up paddler walk into a bar..
Don't forget to check the shark forecast before you paddle!
Worried about paddling out this week after last week's double shark attack on the northern NSW coast? Fear not! Well, actually, fear less! There's an app for that.
From Ball-Points to Boards - BIC gets back to nature.
In an interesting contrast, the company that makes billions of plastic ball-point pens is now producing what they call the most environmentally friendly mass produced stand up paddle boards ever, dubbed 'Earth - Deep into Nature'.
Powder Hawaii - Stand Up Snow Paddling
It's not all blue skies and board shorts this time of year; half of the world is freezing their butts off and wishing they lived on the Sunshine Coast. People like Manca Notar, a Slovenian stand up paddler for Naish, who had to take her board up the slope
Jarrad Batza takes on Teahupoo
Teahupoo is known as one of the worlds best waves for barreled, and when Aussie surfer Jarrad Batza was there this week, he filmed some of the best we've ever seen of a stand up paddler.
12 Towers Ocean Paddle Festival
The 12 Towers Ocean SUP Race is back for it's fourth year in a row, and this year it's going to be bigger than ever before with not one, but two events in once.
Currumbin SUPerstars leave team Fantatic
It's been a long paddle for Currumbin SUPerstars Paul and Angie Jackson, from starting their own little store called Roar Industries several years ago, to chasing down world titles in racing divisions during 2015. But now, they've both turned a corner in
The worlds gnarliest Battle of the Paddle Race
Boards were broken, paddles were lost, blood was spilled and still, everyone emerged with a huge smile on their faces. It was an epic day, with some epic shots to prove it.
Water Polo + Sup = SUPolo!
What happens when you put ten stand up paddlers in an Olympic swimming pool? Not much, but if you add a ball and a set of inflatable soccer goals, things get interesting!
SUP shines at Dukes Day, Celebrating 100 years of surfing.
In 1915, Duke Kahanamoku surfed the first waves in Australia at Freshwater, introducing Australia to the sport that would one day become an ingrained part of the nations sporting culture.
The most fun you can have on your knees.
Hey, hey! Not like that. We're talking about getting barreled (well, kinda) on an inflatable surf mat with 7 of your mates, like Jamie O'Brien was doing in Makaha this December.
Kalama Talks about the hold-down of his life.
Dave Kalama is without a doubt one of the most influential stand up paddlers in the sport thanks to his impressive history as a waterman, and his unique talent with a paddle in his hand. But one thing sets Kalama apart from the rest, and that is his abili
Painting with light, and a paddle
Just when you think you've seen it all, some guy shows up with a fancy paddle and makes some inspiring pictures to set you straight. Paddling is a sport of beauty, and this proves it.
New Years Party SUP Waves with DJ
If you're a regular on the Seabreeze.com.au forums then you'll know about David (DJ) John. This guy has got to spent more time with a paddle in his hands than any stand up paddler in Australia. Some would even say he's Australia's most fanatical stand up
Make a New Years Stand-up-oltution!
With 2015 looking to continue the upward trend of the sport of stand up paddling, why not make a resolution to improve your paddling experience? In 2014 we've seen new clubs start, disciplines expand and competitions run in the most amazing of locations!
The Five Biggest 'Things' in SUP 2014
The year is coming to an end, but for Australian's it's no big deal. Summer rolls on, stand up paddling is in full swing and prospects for 2015 are bright.
Sports/News
Weather Forecasts & Live Reports



Stand Up Paddle Articles/Articles
Stand Up Paddle Buy & Sell/Classifieds